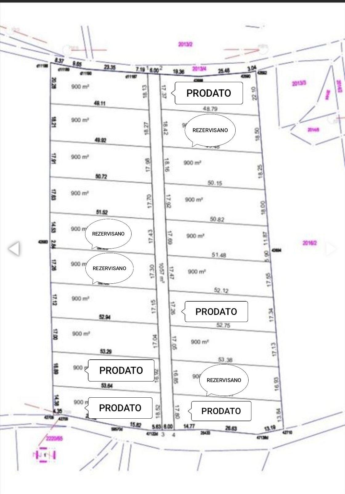
GROCKA, 15.MAJA, 900m2

Svi podaci vezani za nekretninu

ID : 2582

Prodaja 9.700
Kvadratura: 900 Struktura: 0.0 Print
   Prodaje se parce buduce srece – po 9 ari, ali meri se u snovima!

Ako ste ikada rekli: „Eh, da imam plac da napravim kucu, garazu, letnjikovac i bastu da mi komsija ne broji pasulj…“ — e pa, evo ga.

U ponudi je vise placeva od po 9 ari, lepih i pravilnih dimenzija (kao na skici – sve lepo, pod konac ??).

Cena? Samo 9.500 € za 9 ari gradjevinskog zemljista(kupuje se suvlasnicki udeo)

Manje nego polovan auto, a traje ceo zivot.

Lokacija?

Do centra Grocke ima manje od 2km.

Put je skoro ceo asfalt, a poslednjih ~150 m je tucanik — utaban, tvrd i bez iznenadjenja (provereno, ne tone ).

Komsiluk?

Okolo su kuce u kojima ljudi vec zive — dovoljno blizu da niste sami, a dovoljno daleko da ne gledate u tudj tanjir.

Pristup?

Izmedju placeva je ostavljen pristupni put sirine 6 metara — staje auto, staje kamion, staje i dobra ideja.

Ako trazite mesto gde se gradi manja kuca, mir i lep zivot, a ne samo objekat — ovo je taj plac. Agent Nikola Grubic, telefon 065/89-444-90 br. uverenja 2971

Agencijska provizija za kupca 500e. 

Detalji

  • Ulica: 15.MAJA
  • Tip objekta: PLAC
  • Useljivost:
  • Grejanje:
  • Sprat: ST/0
  • God. izgradnje:
  • Uknjizen: da

Karakteristike

Slične ponude